Schlüsselfertig bauen nach KfW 40 QNG – effizient, nachhaltig ins Eigenheim 🏡✨

location icon 72141 Walddorfhäslach
In Zusammenarbeit mit Immoscout Logo

Informationen

Haustyp
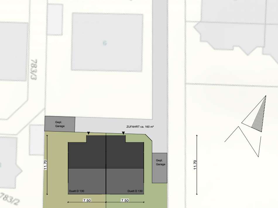
Doppelhaushälfte
Wohnfläche ca.
130 m²
Nutzfläche ca.
0 m²
Grundstücksfläche ca.
289 m²
Zimmer
4
Schlafzimmer
3
Badezimmer
1
Anzahl Garage / Stellplatz
1 Stellplatz
  • Gäste-WC
  • Provisionsfrei

Kosten

Kaufpreis
648.000 €
Provision für Käufer
Nein

Bausubstanz & Energieausweis

Baujahr
2026
Bauphase
Haus in Planung (projektiert)
Ausstattung
Gehobene Qualität
Heizungsart
Wärmepumpe

Objektbeschreibung

Herzlich willkommen in Ihrem technologisch hochwertigen Zuhause, wo Innovation und Komfort Hand in Hand gehen. Dieses Meisterwerk vereint modernste Technologie mit elegantem Design und erfüllt selbst die anspruchsvollsten Standards. Die Wohnräume sind mit innovativer Technologie ausgestattet, die den Komfort maximieren. Ihr Haus wird außerdem in der höchsten Effizienzklasse 40-KFN+QNG gebaut. Bei der individuellen Planung mit unseren Architekten kann alles an Ihre Wünsche, Bedürfnisse und Details angepasst werden. Das ist die Zukunft des Wohnens!

Grundriss

Grundriss Erdgeschoss
Grundriss Erdgeschoss
Grundriss Obergeschoss
Grundriss Obergeschoss

Ergänzende Links

Ausstattung

Jedes unserer Fertighäuser wird speziell für Sie geplant und ist perfekt auf die Anforderungen und Vorgaben Ihres Bauvorhabens angepasst – Bebauungspläne, eine besondere Grundstückslage und die gewünschten Eigenleistungen werden im Detail geprüft und berücksichtigt. 

Jedes Schwabenhaus verfügt standardmäßig über:
- Moderne Wärmepumpentechnik
- Zentrale kontrollierte Wohnraum Be- und Entlüftung mit Wärmerückgewinnung
- hochwertige Ausstattung mit Markenfabrikaten
- 3-Scheiben-Wärmeschutzglas
- elektrische Rollladensteuerung*
- Smart-Home-Technologie: Intelligentes Gebäude-Management für die Licht- und Rollladen-Steuerung*
- Schwimmender Estrich mit Wärmedämmung
- Sanitär-Objekte von Markenherstellern wie z. B.  Villeroy & Boch usw. sowie Echtglas-Duschabtrennung
- Spachtelarbeiten Q3*
- Malerarbeiten mit Glasfaser-Tapeten oder Vliesbeschichtung*
- Bodenbeläge  mit Laminat oder Teppich
- Innentüren
- 10 Jahre Gewährleistung nach BGB (üblich: 5 Jahre) und 30 Jahre Garantie auf die Grundkonstruktion

*In Verbindung mit dem Technologie + Komfort-Paket „Blue Edition“

Diesem Angebot liegt die beliebte Schwabenhaus-Ausbaustufe "Schlüsselfertig" zugrunde. Diese kann selbstverständlich noch entsprechend Ihrer geplanten Eigenleistungen angepasst werden.

Lage

Schlüsselfertig bauen nach KfW 40 QNG – effizient, nachhaltig ins Eigenheim 🏡✨
72141 Walddorfhäslach

Die genaue Adresse dieses Objekts erhalten Sie vom Anbieter.

Walddorfhäslach, zwischen Tübingen und Reutlingen gelegen, bietet dieses attraktive Doppelhausprojekt in ruhiger Randlage ein ideales Wohnumfeld 🏡. Die Kombination aus naturnahem Wohnen und gleichzeitig kurzer Anbindung an die umliegenden Städte macht den Standort besonders interessant 🚗. Felder und Grünflächen direkt vor der Haustür schaffen ein angenehmes, familienfreundliches Wohngefühl 🌿.

Sonstiges

Vereinbaren Sie einen persönlichen Beratungstermin, um über Ihren Haustraum und das angebotene Objekt zu sprechen. 
Bitte beachten Sie, dass die dargestellten Bilder und Grundrisse nur beispielhaft sind und unter Umständen Sonderbauteile enthalten, die nicht im aufgerufenen Preis inkludiert sind. 

Haben Sie außerdem Verständnis dafür, dass erst nach dem persönlichen Gespräch weitere Details zu dem angebotenen Grundstück bekanntgegeben werden und dass nur vollständige Anfragen bearbeitet werden können.

Anbauteile, Carport, Garage und Keller können Extras sein, die als Sonderausstattung angeboten werden. Abbildungen, Grundrisse und Flächenangaben sind beispielhaft und können Extras zeigen. Flächenangaben nach DIN 277.

Profitieren Sie jetzt von der Schwabenhaus Online Beratung und verwirklichen Sie Ihr Traumhaus https://www.schwabenhaus.de/anmeldung-hausbau-beratung-online/

Anbieter

Schwabenhaus Reutlingen - Erik Reis - Handelsvertretung für die Schwabenhaus GmbH Große Heerstraße 33, 72793 Pfullingen

Schlüsselfertig bauen nach KfW 40 QNG – effizient, nachhaltig ins Eigenheim 🏡✨

Vertriebsansprechpartner: Herr Erik Reis

Weitere Informationen finden Sie unter:
http://www.schwabenhaus.de (Website)
Impressum des Anbieters

Esszimmer location icon 72141 Walddorfhäslach
Wohnfläche
130 m²
Grundstücksfläche
289 m²
Zimmer
4
Kaufpreis
648.000 €
Finanzierung berechnen Anbieter kontaktieren